Skip to main navigation Skip to main content
Georgia Institute of Technology

Sustainability at Georgia Tech

Main navigation

  • Home
  • Education
  • Research
  • Campus Sustainability
  • News

User account menu

  • Log in

Optimization Technique Identifies Cost-Effective Biodiversity Corridors

Image
Grizzly Bear
Mercury ID
581780
Sep 27, 2016

A new optimization technique could help conservation biologists choose the most cost-effective ways of connecting isolated populations of rare, threatened and endangered species living in protected areas.

Optimization Technique Identifies Cost-Effective Biodiversity Corridors

Image
Grizzly Bear
Mercury ID
581780
Sep 27, 2016

A new optimization technique could help conservation biologists choose the most cost-effective ways of connecting isolated populations of rare, threatened and endangered species living in protected areas.

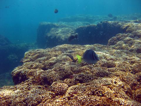
La Niña-like conditions associated with 2,500-year-long shutdown of coral reef growth

Image
Panamá reef
Mercury ID
381051
Feb 23, 2015

A new study has found that La Niña-like conditions in the Pacific Ocean off the coast of Panamá were closely associated with an abrupt shutdown in coral reef growth that lasted 2,500 years.

‘Stadium Waves’ Could Explain Lull In Global Warming

Image
Dr. Judith Curry
Mercury ID
244131
Oct 10, 2013

Newly-published research suggests that climate variability may be more predictable than previously assumed.

High Levels of Molecular Chlorine Found in Arctic Atmosphere

Image
Snow-covered ice pack
Mercury ID
266491
Jan 13, 2014

Scientists studying the atmosphere above Barrow, Alaska, have discovered unprecedented levels of molecular chlorine in the air, a new study reports.

Fish From Acidic Ocean Waters Less Able to Smell Predators

Image
Damselfishes
Mercury ID
290271
Apr 14, 2014

Fish living on coral reefs where carbon dioxide seeps from the ocean floor were less able to detect predator odor than fish from normal coral reefs, according to a new study.

Sharks in Acidic Waters Avoid Smell of Food

Image
Smooth dogfish shark
Mercury ID
323041
Sep 09, 2014

The increasing acidification of ocean waters caused by rising atmospheric carbon dioxide levels could rob sharks of their ability to sense the smell of food, a new study suggests.

Looking at El Nino’s past to predict its future

Image
El nino peak warming
Mercury ID
350951
Dec 02, 2014

A new study shows how this climate system responds to various pressures, such as changes in carbon dioxide and ice cover, in one of the best models used to project future climate change.

Some Climate Change Impacts May Appear Sooner than Expected

Image
Buildings in Marshall Islands
Mercury ID
476651
Dec 07, 2015

Some impacts of global climate change will appear much sooner than others.

Climate Change May Extend Ozone Season in the Southeastern U.S.

Image
Atlanta forest
Mercury ID
565511
Aug 22, 2016

Extreme weather conditions associated with climate change may extend the ozone season in the Southeastern United States.

Pagination

  • 1 Page 1
  • Next page ››
Subscribe to Environment

Georgia Institute of Technology

North Avenue
Atlanta, GA 30332 +1 404.894.2000 Campus Map

  • General
  • Directory
  • Employment
  • Emergency Information
  • Legal
  • Equal Opportunity, Nondiscrimination, and Anti-Harassment Policy
  • Legal & Privacy Information
  • Human Trafficking Notice
  • Title IX/Sexual Misconduct
  • Hazing Public Disclosures
  • Accessibility
  • Accountability
  • Accreditation
  • Report Free Speech and Censorship Concern
Georgia Tech

© 2026 Georgia Institute of Technology

GT LOGIN